Prehistoryczne Oko Saurona odkryte. Podwodny wulkan zaskoczył naukowców

Jeśli oglądaliście ekranizację powieści J. R. R. Tolkiena pt. Władca Pierścieni, na pewno pamiętacie Oko Saurona. Ten gorejący okrąg wyglądał nieziemsko, chociaż jak się okazuje – takie widoki to nie tylko wymysł fantastyki. Naukowcy odkryli podwodny wulkan, który zachwyca swoją budową.

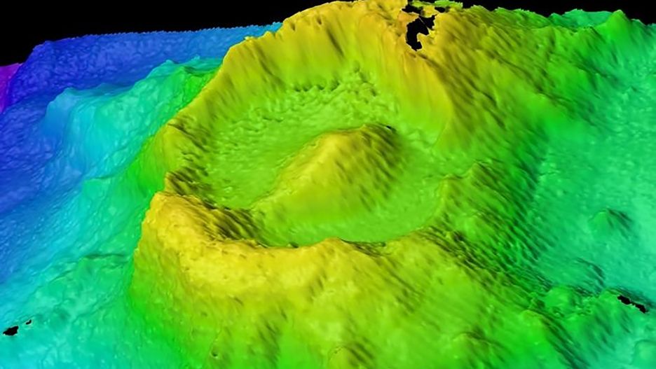
Nowoodkryty wulkan Oko Saurona na Oceanie Indyjskim.Nowoodkryty wulkan Oko Saurona na Oceanie Indyjskim.
Marcin Watemborski

Wulkan, który naukowcy nazwali Okiem Saurona znajduje się 3100 metrów pod poziomem morza i jest położony 280 kilometrów na południowy-wschód od Wyspy Bożego narodzenia. Został on odkryty podczas 12 dnia ekspedycji w celu zbadania dna Oceanu Indyjskiego. Do jego skanowania, naukowcy wykorzystali zaawansowany sonar zamontowany na łodzi RV Investigator.

Trasa ekspedycji z zaznaczonymi nowymi odkryciami.
Trasa ekspedycji z zaznaczonymi nowymi odkryciami.

O Oku Saurona nie było wcześniej absolutnie nic wiadomo. To nowe odkrycie i sami naukowcy zastanawiają się, jak mogli je przeoczyć. Wulkan jest ogromny. Ma rozmiary 6,2 x 4,8 kilometra. Dookoła niego jest 300-metrowe wzniesienie okalające dookoła kaldery oraz szczyt w środku o takiej samej wysokości. Całość wyglądem przypomina wizualizację znaną z Władcy Pierścieni.

Badacze oceanicznego dna tłumaczą, że charakterystyczny kształt całego wulkanu powstał wskutek erupcji i nagłego stygnięcia magmy, połączonych z zapadaniem się części wzgórza. Po powstaniu kaldery, czyli głębokiego zapadliska, kolejne wybuchy podwodnego wulkanu nadbudowały nowy stożek.

Oko Saurona to nie wszystko. Jest też reszta Mordoru

Wulkan nie jest jedynym interesującym aspektem odkrycia naukowców. W okolicy znajduje się cało pasło podwodnych gór. Dwie z nich zostały nazwane Barad-dur oraz Ered Lithui, kontynuując porównania do Władcy Pierścieni. W powieście pierwsze z nich jest fortecą Saurona znajdującą się w sercu Mordoru. Ered Lithui to natomiast Góry Popielne, czyli pasmo górskie, które chroniło Mordor od północy i biegło prosto na zachód, łącząc się z górami Ephel Duath.

Wulkan Oko Saurona i towarzysząca podmorskie pasma górskie.
Wulkan Oko Saurona i towarzysząca podmorskie pasma górskie.

Geolodzy datują powstanie gór oraz wulkanu na około 100 milionów lat. Wówczas Australia była położona bliżej Antarktydy. Kolejnym krokiem badaczy będzie zeskanowanie dna oceanu w pobliżu nowych odkryć, poszukując prehistorycznych pasm górskich podobnych do tych już znanych. Ziemia ma wciąż wiele tajemnic.

Oprócz Oka Saurona, istnieją inne kaldery. Najbardziej znaną jest Anak Krakatoa, czyli mały wulkan, który powstał w 1927 roku po gwałtownej i zabójczej erupcji rodzimego wulkanu Krakatoa. Tamtejszy wybuch zabił tysiące ludzi w 1883 roku.

Źródło artykułu: WP Tech
Wybrane dla Ciebie
Radioteleskop FAST zaskakuje. Nietypowe pochodzenie błysków radiowych
Radioteleskop FAST zaskakuje. Nietypowe pochodzenie błysków radiowych
Chiny wyślą dwie misje do granic Układu Słonecznego. Start w 2032 roku
Chiny wyślą dwie misje do granic Układu Słonecznego. Start w 2032 roku
Uderzenie w planetoidę ładunkiem jądrowym? Czasami ma sens
Uderzenie w planetoidę ładunkiem jądrowym? Czasami ma sens
Teleskop Nancy Grace Roman gotowy. Start szybciej niż planowano
Teleskop Nancy Grace Roman gotowy. Start szybciej niż planowano
„Latające statki”. Spotkasz je spacerując po polskich plażach
„Latające statki”. Spotkasz je spacerując po polskich plażach
Zajrzeli do wnętrza Jowisza. Zaskakująco dużo tlenu
Zajrzeli do wnętrza Jowisza. Zaskakująco dużo tlenu
Humanoid nauczył się mowy i śpiewu, patrząc lustro. To przełom w robotyce?
Humanoid nauczył się mowy i śpiewu, patrząc lustro. To przełom w robotyce?
Lotnictwo wojskowe Rosji silniejsze niż przed atakiem na Ukrainę. Nowy raport RUSI
Lotnictwo wojskowe Rosji silniejsze niż przed atakiem na Ukrainę. Nowy raport RUSI
Ukraiński dron STING strącił rosyjskiego Shaheda z pociskiem R-60
Ukraiński dron STING strącił rosyjskiego Shaheda z pociskiem R-60
Zabójcza rosyjska sterta śmieci. Skądś to znamy
Zabójcza rosyjska sterta śmieci. Skądś to znamy
Katastrofalne obrazki z Rosji. Zaplanowana akcja służb?
Katastrofalne obrazki z Rosji. Zaplanowana akcja służb?
Jak hibernują? To ich zimowa strategia przetrwania
Jak hibernują? To ich zimowa strategia przetrwania
ZATRZYMAJ SIĘ NA CHWILĘ… TE ARTYKUŁY WARTO PRZECZYTAĆ 👀