Naukowcy zeskanowali "magmowego potwora". Pierwszy raz zajrzeli do jego wnętrza

Naukowcy wyruszyli na niebezpieczną wyprawę, aby stworzyć pierwsze wewnętrzne obrazy 3D Axial Seamount, gigantycznego podwodnego wulkanu znajdującego się głęboko w Oceanie Spokojnym.

Axial Seamount z zewnątrz
Źródło zdjęć: © Wikimedia Commons CC BY-SA

Axial Seamount położony jest na zachód od Cannon Beach w stanie Oregon. Podwodny gigant ma 1100 m wysokości i jest jednym z najaktywniejszych wulkanów na Oceanie Spokojnym. Odkryto go w 1970 roku, a dokładniejsze badania przeprowadzono w latach 80. Jednak dopiero teraz naukowcy dostali szansę, by zbadać, co dzieje się wewnątrz tego "magmowego potwora".

Pierwszy skan wnętrza podwodnego wulkanu

Naukowcy z Lamont-Doherty Earth Observatory Uniwersytetu Columbia na wyprawę wyruszyli pod koniec tego lata na statku badawczym Marcus G. Langseth. Na pokładzie znajdowały się cztery, długie na ponad 8 km kable, które służyły za instrumenty pomiarowe. Miały one dać badaczom szansę, by zajrzeć do wnętrza gigantycznego podwodnego wulkanu.

Wyprawa trwała w sumie 33 dni i odbyła się na przełomie lipca i sierpnia. Badacze mieli nadzieję, że uda się stworzyć pierwszą trójwymiarową mapę magmowych stawów i ścieżek w aktywnym wulkanie. Byłyby to pierwsze takie zdjęcia hiperaktywnego wulkanu i dałoby naukowcom również cenną wiedzę na temat podwodnych wulkanów w ogóle.

Zobacz też: Jądro Ziemi przecieka. Zaskakujące wyniki historycznego badania

Cała misja wymagała niezwykłej precyzji i ostrożności, jednak nie przebiegła bez problemów. W pewnym momencie przerwał się jeden z kabli używanych do pomiaru, co mogło doprowadzić nie tylko do utraty cennych danych, ale również do ogromnych strat finansowych. Nie mogąc naprawić kabla na morzu, zespół musiał zakończyć misję na jakiś czas. Podczas następnej próby doszło do awarii silnika, ale ten problem na szczęście udało się szybko zażegnać i po dwóch dniach zespół mógł ponownie wrócić do pracy.

Naukowcom udało się rozwiązać problemy techniczne, ale zauważają, że nie był to koniec zmartwień. Lokalna fauna - wieloryby, delfiny, rekiny i ryby morskie nie raz były przyczyną kolejnych przerw w pomiarach. Badacze przypominają, że ssaki morskie są zależne od komunikacji akustycznej, więc jeśli jakikolwiek z nich znajdzie się w odległości 1 km od statku, należało wyłączyć sprzęt pomiarowy.

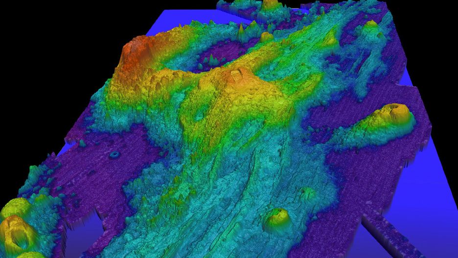
Mimo trudności jakie napotkali, badaczom udało się osiągnąć cel. Teraz zajmują się opracowaniem obrazu 3D, na którym połączą wszystkie zebrane dane, ale już pierwsze obrazy są bardzo obiecujące, a jednocześnie dostarczają dużo cennych informacji:

Obraz
© National Science Fundation

Trójwymiarowe skany magmy pozwoliły badaczom odkryć pewien schemat zachowania się wulkanu, dzięki czemu łatwiej jest przewidzieć przyszłe erupcje. Według zebranych danych, naukowcom udało się ustalić, że Axial Seamount wybuchnie ponownie w 2020 lub 2021 roku.

Wybrane dla Ciebie
Karabiny snajperskie z Kanady w rękach Rosjan. Oto jak omijają sankcje
Karabiny snajperskie z Kanady w rękach Rosjan. Oto jak omijają sankcje
Atak na rosyjską infrastrukturę energetyczną. Ukraińcy użyli Neptunów
Atak na rosyjską infrastrukturę energetyczną. Ukraińcy użyli Neptunów
Pentagon wydał zgodę na dostawę postrachu Kremla. Ostatnią barierą Trump
Pentagon wydał zgodę na dostawę postrachu Kremla. Ostatnią barierą Trump
Zamówili 138 myśliwców F-35. Zapomnieli zadbać o zaplecze
Zamówili 138 myśliwców F-35. Zapomnieli zadbać o zaplecze
Nie Iran, nie Korea Północna. Rosja ma jeszcze silniejszego sojusznika
Nie Iran, nie Korea Północna. Rosja ma jeszcze silniejszego sojusznika
Młode Słońce było wściekłe. Naukowcy obserwują spektakularną erupcję
Młode Słońce było wściekłe. Naukowcy obserwują spektakularną erupcję
Rosyjski szpieg nad Bałtykiem. Polska poderwała myśliwce
Rosyjski szpieg nad Bałtykiem. Polska poderwała myśliwce
Neandertalczycy nie tylko polowali. Odsłaniają pełne menu naszych krewnych
Neandertalczycy nie tylko polowali. Odsłaniają pełne menu naszych krewnych
Ukraińcy zniszczyli Oriesznika. Nikt o tym nie wiedział
Ukraińcy zniszczyli Oriesznika. Nikt o tym nie wiedział
Cmentarzysko samolotów w Rosji. Spoczywają tu od II wojny światowej
Cmentarzysko samolotów w Rosji. Spoczywają tu od II wojny światowej
Rosjanie przeszukują złomowiska. Ukraińcy dobrze wiedzą, czego szukają
Rosjanie przeszukują złomowiska. Ukraińcy dobrze wiedzą, czego szukają
Niezwykłe zjawisko. Sierść psów w Czarnobylu staje się niebieska
Niezwykłe zjawisko. Sierść psów w Czarnobylu staje się niebieska
ZATRZYMAJ SIĘ NA CHWILĘ… TE ARTYKUŁY WARTO PRZECZYTAĆ 👀