huragan

Wlecieli w oko cyklonu. Zastała ich oczekiwana cisza

Wlecieli w oko cyklonu. Zastała ich oczekiwana cisza

Mateusz Tomczak Mateusz Tomczak
Samolot wleciał w środek huraganu. Jest nagranie

Samolot wleciał w środek huraganu. Jest nagranie

Karolina Modzelewska Karolina Modzelewska
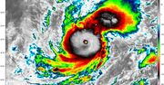
Humberto zamienił się w huragan. Wkrótce uderzy w Bahamy

Humberto zamienił się w huragan. Wkrótce uderzy w Bahamy

Karolina Modzelewska Karolina Modzelewska
Huragan Dorian spustoszył Bahamy. Nowe zdjęcia przerażają

Huragan Dorian spustoszył Bahamy. Nowe zdjęcia przerażają

Oskar Ziomek Oskar Ziomek
Tak wygląda wnętrze huraganu. NASA pozwala nam wejść do środka

Tak wygląda wnętrze huraganu. NASA pozwala nam wejść do środka

Arkadiusz Stando Arkadiusz Stando